Development

Lenexa site at I-435, 87th planned for apartments, senior living, retail

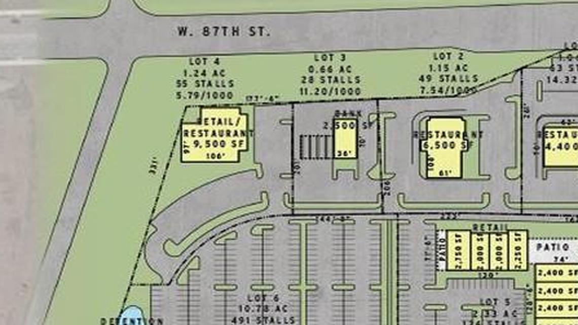
A site plan depicts a 85-acre mixed-use development in Lenexa
A site plan depicts a 85-acre mixed-use development in Lenexa Oddo Development

Oddo Development is about ready to turn 85 acres of undeveloped ground near Lenexa City Center into a $220 million apartment, senior living and retail development.

The Lenexa development firm now owns property at the southeast corner of Interstate 435 and 87th Street where it wants to build 675 apartments, 100 senior living units and as much as 175,000 square feet of retail and commercial space.

“There’s still demand for apartments, high-end apartments,” said Rick Oddo, chief executive officer of Oddo Development. “We also think there’s a very high demand for pad site retail. We’re going to have seven stand-alone restaurants, a lot of easy-access parking.”

Oddo said he’s had discussions with a dozen retailers, but he declined to name which ones. He’s naming the project Sonoma Plaza.

Oddo Development plans to seek rezoning from Lenexa to allow commercial development on the 40 acres where it will build the commercial development. The remaining 45 acres has already been cleared for residential development.

Sonoma Plaza represents a continuation of development along 87th Street near I-435. On the other side of the interstate, several developers along with the city of Lenexa have started work on Lenexa City Center. The plan for Lenexa City Center includes a new city hall building, a public market, loft-style apartments, commercial and retail development.

“(Sonoma Plaza) complements and is a natural progression of what’s happening with City Center on the other side of 435,” said Blake Schreck, president of the Lenexa Chamber of Commerce. “It validates the demand of that site as a whole.”

Steve Vockrodt: 816-234-4277, @st_vockrodt

This story was originally published September 22, 2016 at 1:16 PM with the headline "Lenexa site at I-435, 87th planned for apartments, senior living, retail."

Get unlimited digital access
#ReadLocal

Try 1 month for $1

CLAIM OFFER